Hinweis: Diese Website ist noch in der Beta-Phase - Wir bauen zur Zeit alles auf, aber du kannst bereits deine Apps zum Mitmachen downloaden.

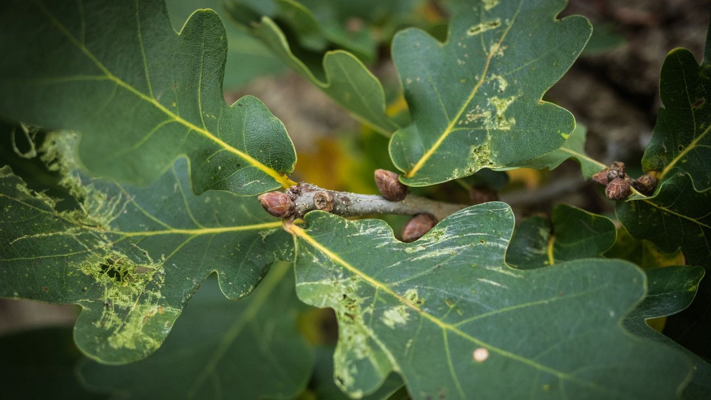
Eiche

Quercus spp.

  • Wuchshöhe: bis 30 m
  • Stamm: Rinde graubraun, längsrissig, gerippt
  • Blätter: Blätter deutlich gelappt, 6-17 cm lang
  • Knospen: Hellbraune Knospen gehäuft am Zweigende
  • Früchte/Samen: eiförmig mit Hütchen (Fruchtbecher)