Short note: This website is in Beta - we are currently building everything up but you can already find the apps to download and participate! Thank you and stay safe!

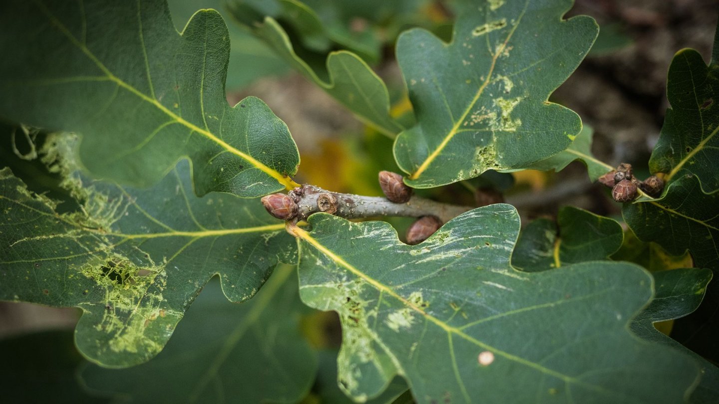
Oak

Quercus spp.

  • Height: up to 30 m
  • Trunk: gray-brown bark, longitudinally fissured, ribbed
  • Leaves: clearly lobed, 6-17 cm long 
  • Buds: Light brown buds clustered at the end of the branch
  • Fruit/seed: ovoid with a fruit cup

Eiche Traubeneiche ganzer Baum Janina Deutschmann 2

Früchte der Eiche Kerstin Ellersdorfer

PA120022Eiche Kerstin Ellersdorfer

Photos: Janina Deutschmann (1), Kerstin Ellersdorfer (2,3)